ACRES: 85+/- Acres
Description
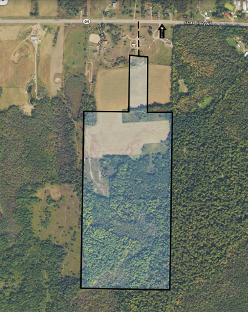
L-9164: 85+/- Acres of excellent hunting land located near Polar, WI with good access off HWY 64. Land has good growing hardwoods, 17+/- acres of Ag land and 68+/- acres of wooded land. Good logging roads throughout and a creek running through the property. Seller has harvested several nice bucks on this property over the years. There is a good tower stand included in the sale and several food plots.Property Information
| Listing # | 9164 | Listing Type | Recreational Vacant |
| Address | HWY 64 | City | Bryant |
| School District | Antigo | Township | Polar |
| County | Langlade | State | WI |
| Zip Code | 54418 | Tax Parcel # | Multiple |
| Taxes | $2,000.00+/- | Price | $404,000.00 |
General Information
| Acreage | 85+/- Acres | Tillable Acres | 17+/- Acres |
| Wooded Acres | 68+/- Acres |









